Roberta Gonzales
robertagonzalestv.bsky.social
Roberta Gonzales
@robertagonzalestv.bsky.social
100 followers 14 following 700 posts
KTVU Meteorologist. Multiple Emmy Award Winner AND Associated Press & Radio Television News Association. Television Inductee Silver Circle. Member Board of Directors SF Press Club & National Academy Television Arts and Sciences. Ironman & Marathon Athlete.
Posts Media Videos Starter Packs
One of the most stunning views I’ve ever seen of the Golden Gate Bridge from my LIVE Weather Camera from our Weather Department… See you today at 12p/4p and 5 PM @KTVU and streaming on our app on FOXLOCAL!
Today’s hospital ministry visit was truly heartwarming. Sometimes the most powerful gift you can offer is simply to listen. 💕🙏 Feeling grateful to share faith, comfort, and compassion at Stanford Health Care Tri-Valley.
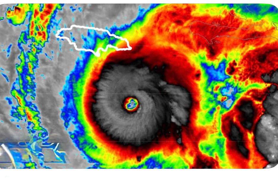
The white line is Jamaica. Pray for all. This is going to be catastrophic. 🙏
Sometimes you just gotta be happy it’s the weekend! No matter what the weather is! 🤗💧
Good news or bad news — you can always count on us to bring you the BEST news!
So great seeing my amazing coworkers and friends KTVU Fox 2, we’re always together, on and off camera, working hard to keep you informed and connected. ❤️📺✨
If you look outside my window and zoom in… you’ll see why I can’t think of a better way to start my day — exercising my body and my soul! See you tonight at 6 PM 7 PM 7:30 PM, 10 PM and 11 PM @ktvufox2.bsky.social 2! 🤗 and have a beautiful day!
Reposted by Roberta Gonzales
Heartbroken by the robbery at the Louvre in Paris — a place filled with art, history, and cherished memories. Grateful I was able to stand before this masterpiece and feel its magic. 🇫🇷🎨💔
#Paris #Louvre #MonaLisa #Art #CherishedMemories #France #TravelMoments
I just have to share something that has truly resonated with me… Something I heard in church today.
We can’t be in church 24/7.
But, we can have church in our hearts all day and all night .
♥️🙏
I hope you have a beautiful week ahead!
I don’t do fast food… but today, with limited time before heading to work, I gave @ElPolloLoco chicken soup a try — and wow! 🥣✨
For just $4.99, it’s the best deal in town — flavorful, hearty, and low-fat.
See you tonight on @KTVU at 6 PM, 7 PM, 7:30 PM, 10 PM, and 11 PM!
Legendary Actress Diane Keaton's Cause of Death Revealed
Dinner will be ready by the time I get home from work tonight! Nothing like Chile Verde on a cool autumn day! See you today @ktvufox2.bsky.social at 5pm and 6pm! I pray you have a beautiful day! 🫶🏼🍂
Reposted by Roberta Gonzales
Sending rainbow pride from San Francisco.

🌈 🌈 Be proud. Be you. 🌈 🌈
Stopped by the Alameda County Fairgrounds yesterday and chatted with a worker at the Stable Café — that charming old-style coffeehouse many of us remember.
With no horse racing now, business has slowed and they fear closure. Let’s show some Pleasanton love and help keep this local gem going! ☕🐎